Шурф для обследования фундамента — это искусственно созданное углубление, которое позволяет исследовать грунт, на котором возведено здание. Этот метод помогает определить состояние фундамента, его прочность и уровень подземных вод, а также выявить возможные деформации или повреждения.
Процесс шурфования включает в себя извлечение грунта на определенную глубину и последующий анализ образцов. Это важный этап при проведении работ по реконструкции или усилению фундамента, так как он позволяет получить необходимую информацию для принятия обоснованных решений.
ШУРФЫ ПРИ ТЕХНИЧЕСКОМ ОБСЛЕДОВАНИИ ЗДАНИЙ И СООРУЖЕНИЙ
Устройство шурфов у фундаментов является одним из важных этапом в общем составе работ, выполняемых при техническом обследовании зданий и сооружений.
Большая часть сведений о техническом состоянии фундаментов, как правило, получается по результатам обследования, проводимого в открытых шурфах.
Зачастую эти сведения являются единственным достоверным источником для установления причин происхождения дефектов, имеющихся в зданиях и сооружениях.
Шурфы закладывают в обязательном порядке в проблемных местах, где имеются явные деформации строительных конструкций, в местах перепада высот надземных частей зданий и сооружений, в местах примыканий разнотипных конструкций фундаментов.
Глубина шурфов в зависимости от типа фундаментов, глубины их заложения, грунтовых условий может быть разной. Однако по общему правилу шурфы роются на глубину, превышающую глубину заложения подошвы фундаментов на 0,5-1 м.
Длину шурфа (вдоль фундамента) следует назначать такой, чтобы обнажаемый участок фундамента позволял однозначно определить тип и конструктивное решение фундамента в месте вскрытия, условия примыкания к другим фундаментам и подземным конструкциям здания, а также оценить его техническое состояние.
Ширину шурфа назначают, как правило, исходя из удобства производства технического обследований в шурфе и возможности надежного укрепления выработки для обеспечения безопасности работников.
Для ленточных фундаментов во многих случаях достаточно длины шурфов 1,5-2 метра, а ширины – 1-1,5 метра.
При отрывке у ленточного фундамента одностороннего шурфа ширина его подошвы, как правило, определяется в предположении симметричности его конструктивного решения с наружной и внутренней стороны относительно оси стены, которая опирается на фундамент.
В зданиях и сооружениях, имеющих подвалы, отрывку шурфов, при наличии доступа и технической возможности, производят со стороны подвала. Это позволяет существенно снизить затраты на земляные работы. Шурфы, при этом, имеют, минимальную необходимую глубину, как правило, не превышающую 1,5м и размеры по дну выемки, стенки которой, Не нуждаются в укреплении.
На участках, воспринимающих наибольшую нагрузку, ширину подошвы фундаментов требуется определять, используя двусторонние шурфы. В других местах, как отмечалось выше, допускается принимать симметричное развитие фундамента по размерам, определенным в одностороннем шурфе.
При измерении глубины заложения фундаментов важно не упустить нижнюю ступень в фундаментах ступенчатого типа. Поэтому необходимо в натуре убедиться, что измерение производится именно от подошвы фундамента, путем заведения пальцев руки под подошву. Как правило, глубину заложения фундаментов определяют с применением обычных средств измерений – механические или лазерные рулетки.
Контроль прочности материалов фундаментов, преимущественно, следует производить неразрушающими методами. При необходимости, проводятся лабораторные испытания отобранных из тела фундаментов образцов. Лабораторные испытания следует производить в случаях, когда прочность имеет решающее значение при решении вопроса о возможности увеличения нагрузки на фундамент или при наличии разрушений материала фундамента.
После окончания обследования в шурфах, выработки должны быть засыпаны исходным материалом с тщательным послойным трамбованием.
Еще более важным фактором, чем правильная закладка и отрывка шурфов, является наличие у обследователя понимания того, что он собственно должен увидеть в этом самом шурфе, на что обратить внимание, исходя из целей и задач проводимого технического обследования зданий и сооружений. Особенно это важно в местах примыкания пристроек к существующим зданиям. Конструкция, качество выполнения и текущее техническое состояние деформационного шва в уровне фундамента, зачастую являются основными причинами появления дефектов в наземных конструкциях зданий и сооружений. Именно этот деформационный шов и должен обнаружить (или не обнаружить) обследователь, дать квалифицированное описание и произвести оценку соответствия шва установленным требованиям и установить фактическое техническое состояние.
При производстве земляных работ важно соблюдать правила техники безопасности, особенно при откопке глубоких шурфов. Стенки шурфов в обязательном порядке необходимо укреплять, несмотря на кажущуюся устойчивость откосов. Автору статьи несколько раз пришлось наблюдать, как происходило обрушение стенок выемок, и только по счастливой случайности дело не заканчивалось появлением пострадавших, а людей удавалось извлекать из таких шурфов, хоть без обуви и штанов, зато целыми и невредимыми.
Обратитесь по нашим контактам для консультации и помощи в решении ваших вопросов.
Обследование фундамента здания
Оценка технического состояния фундаментов при обследовании зданий и сооружений – определение категории технического состояния согласно ГОСТ 31937-2011 «Здания и сооружения. Правила обследования и мониторинга технического состояния»

Проходка шурфа в непосредственной близости от несущих стен. В зданиях построенных по бескаркасной схеме, проходку шурфов назначают под несущими стенами в зонах наибольшего нагружения.
Экспертиза фундамента является важной составляющей при техническом обследовании здания. Обследование фундаментов заключается в проходке (откопке) шурфов в непосредственной близости от несущих строительных конструкций.
При каркасной конструктивной схеме, откопку шурфов выполняют под колоннами с целью обнаружения столбчатых фунда ментов. В зданиях построенных по бескаркасной схеме, пр оходку шурфов назначают под несущими стенами в зонах наибольшего нагружения. Дополнительные шурфы назначают в зонах расположения дефектов и повреждений, непосредственно под трещинами.
Необходимые испытания грунтового основания, количество шурфов и геологических скважин определяется причинами обследования, техническим заданием, программой работ (проектом производства работ) и нормативной документацией.
Обследование фундаментов и испытания грунтового основания относятся к инженерным изысканиям. Для выполнения указанных работ подрядчик обязан состоять в саморегулируемой организации и иметь соответствующую выписку из реестра.
Нормативная документация по обследованию фундаментов
Обследование фундаментов и грунтового основания выполняют в соответствии со следующей нормативной документацией:
- ГОСТ 31937-2011 «Здания и сооружения. Правила обследования и мониторинга технического состояния»;
- СП 13-102-2003 «Правила обследования несущих строительных конструкций зданий и сооружений»;
- СП 22.13330.2011 «Основания зданий и сооружений»;
- СП 24.133300.2011 «СНиП 2.02.03-85 Свайные фундаменты».
Территориальные нормы для Санкт – Петербурга:
- ТСН 50-302-96 «Устройство фундаментов гражданских зданий и сооружений в Санкт – Петербурге и на территориях, административно подчиненных Санкт – Петербургу»;
- ТСН 50-302-2004 «Проектирование фундаментов зданий и сооружений в Санкт – Петербурге».
Оказание услуг по обследованию фундамента
Этапы обследования фундамента
Инженеры ООО «ЭПБ-Проект» оказывают услуги по проходке шурфов и обследованию фундаментов. Услуги по строительной экспертизе фундаментов имеют ряд важных этапов, пренебрежение которыми могут негативно сказаться на качестве и безопасности работ. Грамотная подготовка к откопке (проходке) шурфов занимает до 60 % времени от общих временных затрат по обследованию фундаментов.
Этапы обследования фундамента
Определение количества и расположения шурфов

Проходка шурфа в зоне трещины
После откопки шурфа становится ясно, что причиной трещины является отверстие выполненное под инженерные сети. Отверстие выполнено без необходимой металлической обоймы или перемычки.
Согласно пункту 5.2.6 ГОСТ 31937-2011 количество шурфов назначают следующим образом:
- в каждой секции фундамента – по одному шурфу у каждого вида конструкции в наиболее нагруженном и ненагруженном участках;
- при наличии зеркальных или повторяющихся (по плану и контурам) секций – в одной секции отрываются все шурфы, а в остальных – один-два шурфа в наиболее нагруженных местах;
- в местах, где предполагают установить дополнительные промежуточные опоры, в каждой секции отрывают по одному шурфу;
- дополнительно отрывают для каждого строения два-три шурфа в наиболее нагруженных местах с противоположной стороны стены, там, где имеется выработка.
«При наличии деформаций стен и фундаментов шурфы в этих местах роют обязательно, при этом в процессе работы назначают дополнительные шурфы для определения границ слабых грунтов оснований или границ фундаментов, находящихся в неудовлетворительном состоянии» (пункт 5.2.6 ГОСТ 31937-2011 ).

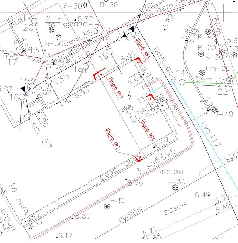
Схема расположения шурфов на топосъемке
Нанесение шурфов на топографическую съемку необходимо для того, чтобы исключить при проходке шурфов попадания в существующие инженерные сети/
После определения количества и предполагаемых мест проходки шурфов согласно нормативным документам и задачам обследования , выполняют привязку на местности планируемых шурфов.
Привязка на местности осуществляется на основании имеющихся данных по архивным геологическим скважинам (запрашиваются в городских архивах) и топографической съемки местности.
Нанесение на топографическую съемку расположения шурфов, необходимо для того, чтобы исключить при проходке шурфов попадания в существующие инженерные сети, а именно в электрические кабеля, канализацию, водоснабжения и т.п.
Проходку шурфов наносят не только на топографическую съемку, но и на план первого этажа или подвала. Нанесение на план, необходимо не только при разработке программы работ (проекта производства работ), но и для ориентации инженеров или техников непосредственно в здании.
После определения расположения шурфов на планах и топосъемке, выполняют визуальные осмотры планируемых мест выработки и в случае необходимости осуществляют корректировку расположения выработок.
Топографическую съемку а также план подвала (план первого этажа) с обозначенными местами проходки шурфов заносят в программу обследования, которую в обязательном порядке согласуют с Заказчиком, собственником объекта, эксплуатирующей организацией и собственником инженерных сетей (при необходимости).
В программе работ указывают ответственных лиц со стороны Подрядчика и Заказчика, этапы работ, машины и механизмы используемые при проведении работ, планируемые полевые и лабораторные испытания грунтового основания и фундамента, а также мероприятия по технике безопасности и охране окружающей среды.
Высокая трудоемкость проведения работ в сложных условиях (откачка воды, крепление стен шурфа, работа под нагруженными конструкциями) заставляет при разработке технического задания и программы работ стремиться к минимально необходимому количеству разведочных шурфов, позволяющих достоверно оценить основные типы фундаментов обследуемого здания.

Схема расположения шурфов на плане здания
Шурфы на плане первого этажа или подвала располагают на основании нормативной документации и задач обследования.
Особенности обследования фундамента с помощью метода шурфов
Обследование здания является довольно сложной комплексной процедурой, для проведения которой применяется множество разных методов. При этом, невидимые подземные конструкции (фундаменты) играют важную роль в обследовании, поскольку от их состояния зависит безопасность всего здания. Так как эти конструкции находятся глубоко под землей, для их исследования нужно применять специальные методы, значительно отличающиеся от способов исследования наземных конструкций.


Особенности обследования фундамента с помощью метода шурфов
Обследование здания является довольно сложной комплексной процедурой, для проведения которой применяется множество разных методов. При этом, невидимые подземные конструкции (фундаменты) играют важную роль в обследовании, поскольку от их состояния зависит безопасность всего здания. Так как эти конструкции находятся глубоко под землей, для их исследования нужно применять специальные методы, значительно отличающиеся от способов исследования наземных конструкций.
Метод шурфов или шурфление является наиболее оптимальным для экспертизы фундаментов, грунтов оснований и других подземных конструкций, поскольку позволяет получить исчерпывающие данные об их состоянии.
Шурфами называют вертикальные или наклонные ямы любой формы (круглой, квадратной или прямоугольной), которые выкапываются в участках, вплотную прилегающих к основанию и углубляются ниже него.
С помощью обследования методом шурфов можно провести визуальный осмотр несущих конструкций, а также получить множество дополнительных сведений, например, о состоянии грунта, инженерных коммуникаций и пр. Выкапывание шурфов позволяет решить следующие задачи:
- определить глубину залегания фундамента и состояние материалов;
- выявить трещины, различные повреждения и разрушения;
- оценить состояние изоляции инженерных коммуникаций;
- проверить состав грунтов, оценить их плотность, а также определить уровень несущей способности;
- определить близость залегания верховодки;
- выявить степень сезонного повышения грунтовых вод.
Выкапывание шурфов – это довольно сложный и трудоемкий процесс, однако он необходим для получения полноценной информации о состоянии и особенностях фундамента перед ремонтом или реконструкцией здания. К тому же, только этот метод позволяет вскрыть арматуру и тщательно изучить материалы несущих конструкций.

Когда необходимо обследование фундамента?
Чаще всего к методу обследования шурфами прибегают в следующих случаях:
- Планируется капитальный ремонт (или реконструкция) объекта, вследствие чего возможно увеличение нагрузок на фундамент.
- Планируется добавление новых этажей.
- На фасаде появились повреждения (например, трещины), возникли перекосы в проемах.
- Проводится техническое переоснащение объекта.
- В непосредственной близости от объекта возводится новый фундамент.
В описанных и других похожих ситуациях обследование фундамента является необходимой мерой для обеспечения безопасности и сохранения эксплуатационных характеристик объекта. Решение о целесообразности проведения обследования часто принимается после визуального осмотра объекта.
Многие проблемы, связанные с состоянием фундамента и подземных конструкций, можно выявить с помощью визуального осмотра стен, проемов и других видимых частей здания. Например, одним из основных признаков наличия дефекта в основании считается заклинивание дверей, находящихся в общей плоскости. Этот признак свидетельствует о начале деформационных процессов, возникающих в основном из-за слабости или преждевременного разрушения основы.
Как правильно выкапывать шурфы для обследования фундамента?
Шурфы обязательно выкапываются вручную, что делает процесс обследования значительно трудоемким и медленным. Процедуру следует начинать в сухую погоду, после откачивания грунтовых вод и высыхания подвала.

Перед выкапыванием шурфов обязательно нужно оградить территории, чтобы избежать возможных несчастных случаев и травм. Глубина ям должна быть на пол метра ниже уровня залегания фундамента. Выбор угла ямы зависит от рыхлости грунта. Например, если грунт песчаный, то стенки вертикальной ямы будут осыпаться, делая ее трапециевидной. При необходимости стенки можно укрепить с помощью установления специальных щитов.
Очень часто бывает необходимо обследовать участки фундамента большой протяженности, что предполагает затраты большего количества сил и времени. Обычно такая необходимость возникает при наличии значительных разрушений в основании здания. При проведении процедуры обследования важно учитывать все меры безопасности, поскольку небрежное выполнение может стать причиной таких негативных последствий, как разрушение отдельных элементов конструкции или даже обрушение всего строения.
После завершения обследования шурфами, важно обратить внимание на грамотное восстановление. Закапывая яму, нужно послойно уплотнять грунт, применять щебеночные подушки и армирование. Также, следует позаботиться о гидроизоляции вскрытых участков и изоляции основных инженерных коммуникаций. Все эти процедуры требуют четкого выполнения, например, излишки воды, используемой для уплотнения земли, могут оказать негативное воздействие на основание здания. При отсутствии достаточных знаний и опыта выкапывания шурфов, лучше доверить эту задачу профессионалам.
Что учесть при обследовании зданий с помощью шурфов?
Даже если Вы планируете выкапывать шурфы самостоятельно, желательно сначала проконсультироваться со специалистом, который поможет выбрать наиболее оптимальные места для выкапывания ям, с учетом нюансов конкретной ситуации. Однако есть несколько универсальных правил, которые следует учитывать:
- Если в здании есть подвал, то шурфы следует делать именно в нем, поскольку снаружи потребуется выкапывание более глубокой ямы.
- Если подвала нет, шурфы можно выкапывать как во внутренней части здания, так и снаружи.
- Оптимальным решением может быть выкапывание шурфов в точках пересечения капитальных стен, если есть такая возможность (этот подход позволяет обследовать фундаменты двух стен одновременно).

Способ исследования с помощью шурфов определяется исходя из особенностей конкретного здания. Есть 3 основных варианта вскрытия фундамента:
- Двустороннее шурфление. Такое обследование необходимо при наличии осадочных деформаций и асимметрии фундаментной подошвы. Также, метод применим для прогнозирования последствий добавления нагрузки на фундаментальные конструкции.
- Периметрическое шурфление. Этот метод вскрытия используется при необходимости получения максимально точной и полной картины состояния подземных конструкций.
- Угловое шурфление. Этот вариант применим при условии, что железобетонное основание имеет абсолютно идентичные размеры сторон, а осадочные процессы отсутствуют.
Важно понимать, что метод и особенности технического обследования здания шурфами определяются в каждом случае индивидуально, поскольку зависят от многих факторов, например, целей и задач обследования, состояния здания, его местоположения, этажности и других характеристик, а также результатов визуального осмотра. От грамотного проведения процедуры зависит не только точность и полнота результатов, но и безопасность фундамента, а, следовательно, всего здания.
Начните сотрудничество с бесплатной консультации эксперта. Мы ответим на все вопросы до заказа исследования.




